|
|
| Author |
Message |
juliovargas
Joined: 13 Feb 2006
Posts: 1
Location: La Paz - Bolivia
|
Posted: Mon Feb 13, 2006 9:27 am Post subject: Photoshop technique to “equalize” the whole picture |
|
|
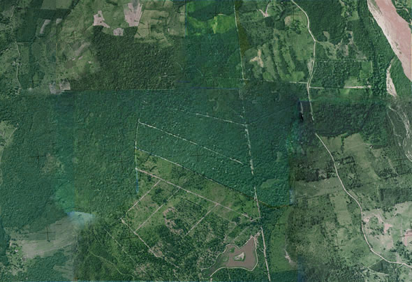
I have a terrain picture that was assembled from a mosaic of aerial pictures taken at different day hours. The problem is the brightness and saturation differences on each tile.
Do you know of any Photoshop technique to “equalize” the whole picture and eliminate the dark spots?
Thank you.
| Description: |
|
| Filesize: |
69.77 KB |
| Viewed: |
882 Time(s) |

|
_________________ Web design, photoshop |
|
|
|
|
 |
lasa

Joined: 08 Aug 2005
Posts: 1090
Location: Florida PS Version: CS OS: MS XP
|
Posted: Mon Feb 13, 2006 7:05 pm Post subject: |
|
|
I gave it a quickie..here to see if the Hue/Saturation would do it and it did ok..just selected the individual parts and hue/sat them..then healed the line between shades.
Lasa
| Description: |
|
| Filesize: |
74.47 KB |
| Viewed: |
866 Time(s) |

|
|
|
|
|
|
 |
|